Confirmed tornado touches down in western Nebraska

NORTH PLATTE, Neb. — The National Weather Service in North Platte confirmed a tornado on the ground Sunday evening in southwestern Cherry County, northwestern Grant County, northeastern Garden County, and southeastern Sheridan County.
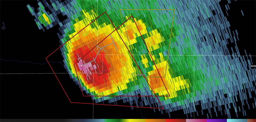
The Tornado Warning remains in effect until 6:45 p.m. MDT.
At 5:53 p.m., weather spotters confirmed a damaging tornado near Ashby, about 34 miles northwest of Arthur, moving east at 20 mph. The storm is capable of producing a tornado and hail up to two inches in diameter.
The tornado is expected to pass near Ashby around 6:05 p.m. MDT and Hyannis around 6:35 p.m. MDT. Other impacted locations include Dominick Lake, Finnegan Lake, Bingham, Kincaid Lake, and Mother Lake. Portions of Highway 2 between mile markers 124 and 151 and Highway 61 between mile markers 150 and 168 are included in the warning area.
The National Weather Service warned that flying debris will be dangerous to anyone caught without shelter. Significant damage to mobile homes, roofs, windows, vehicles, and trees is likely.
This new tornado warning updates an earlier warning issued at 5:16 p.m., where a funnel cloud had been spotted near Ellsworth.
Meanwhile, a Severe Thunderstorm Warning issued earlier remains active for parts of Cherry and Grant Counties. At 5:23 p.m., quarter-size hail was reported near Hyannis, with the storm moving north at 35 mph. Vehicle damage is expected in Hyannis and Duluth, including along Highways 2 and 61.
A Tornado Watch remains in effect for the Nebraska Panhandle, north central, and west central Nebraska until 11 p.m. MDT.
Residents are urged to seek shelter immediately, moving to a basement or an interior room on the lowest floor of a sturdy building, and avoid windows.
